Enlaces de accesibilidad

Meteorólogos en Cuba hablan de pronósticos "desalentadores"


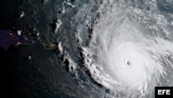
 Fotografía tomada desde el espacio tomada por el satélite GOES-16 de la Agencia Nacional de Océanos y Atmósfera de Estados Unidos (NOAA) que muestra el huracán Irma sobre el Océano Atlántico ayer, 5 de septiembre de 2017. El ojo del huracán Irma atravesó
Fotografía tomada desde el espacio tomada por el satélite GOES-16 de la Agencia Nacional de Océanos y Atmósfera de Estados Unidos (NOAA) que muestra el huracán Irma sobre el Océano Atlántico ayer, 5 de septiembre de 2017. El ojo del huracán Irma atravesó

El Centro Nacional de Huracanes de Estados Unidos ha definido a Irma, de categoría 5, como "un huracán extremadamente peligroso". Con ráfagas de viento de hasta 360 km/h es una amenaza para el Caribe. Haití, República Dominicana, Cuba y Florida están en la ruta.​

En Cuba, la Defensa Civil activó su plan para aminorar los efectos del ciclón, incluyendo evacuaciones a zonas vulnerables a los vientos y las lluvias.

El gobierno cubano instó a los ciudadanos a "cumplir disciplinadamente las medidas que se indiquen por las autoridades locales".

En Cuba, escuelas y centros de trabajo suelen ser convertidos en albergues temporales para familias cuyas casas son vulnerables a los efectos de un huracán.

Meteorólogos cubanos están informando a través de medios locales que los pronósticos "son desalentadores".

"A pesar de que en apariencias estamos distantes de un impacto directo, todos los modelos ubican los vórtices de este poderoso huracán dentro de la Isla de Cuba", dijo a Granma Armando Caimares Ortiz, especialista del Centro de Pronósticos del Instituto de Meteorología.

El joven opositor Félix Llerena, dijo que la gente "que tiene recursos" está comprando alimentos. También explicó que no ha visto hasta ahora medidas como la tala de árboles o limpieza del alcantarrillado.

please wait

No media source currently available

0:00 0:01:20 0:00

Sin embargo, la Defensa Civil dijo que ha orientado medidas podar árboles, salvaguardar cosechas, alistar los sistemas de comunicación, acelerar las medidas de higienización y asegurar infraestructuras y la disponibilidad de combustibles.

Al momento de redactar esta nota estaban en fase informativa las provincias
orientales de Guantánamo, Santiago de Cuba, Holguín, Las Tunas, y
Camagüey, las centrales Ciego de Ávila, Sancti Spíritus, Villa Clara
y la occidental Matanzas.

La tranquilidad reina en las calles de Guantánamo a la espera del paso del huracán Irma, según aseguró a Radio Martí, Kenia García.

"El cubano lo coge todo con mucha tranquilidad (...) todavía no estamos en movimiento (de evacuación) en la ciudad", dijo García.

"Estamos a principio de mes y todo está en la bodega, uno saca los mandados (...) la gente siempre va a sacar su dinerito para tener sus provisiones", agregó Kenia.

please wait

No media source currently available

0:00 0:00:58 0:00

Al oeste, las provincias de La Habana y Mayabeque han sido llamadas a mantenerse "atentas" a las informaciones que emitan la Defensa Civil Nacional y el centro de pronósticos del Instituto de Meteorología (Insmet).

"Hay bastante movimiento de la gente comprando cosas, preparándose para el huracán (...) a partir de ayer todas las panaderías han estado abiertas. Han limpiado las alcantarillas pero los árboles los han podado poco. Están preparando algunos hospitales para evacuar personas", dijo a Radio Martí, Rebeca Bosch, quien reside en la ciudad de Camagüey.

please wait

No media source currently available

0:00 0:00:44 0:00

En los Cayos de Florida

Turistas y residentes de los Cayos de Florida comenzaron a evacuarse ante la inminencia del huracán Irma, según reportó el periodista Dámaso Rodríguez de Radio Martí.

Familias cubanas que viven en los cayos de Florida comenzaron también a planear la salida hacia sitios más seguros del Condado Broward, en Miami.

El administrador del Estado Monroe, Román Gastesi, llamó a "tener mucho cuidado" ante el potente ciclón que se avecina.

please wait

No media source currently available

0:00 0:01:32 0:00

"La gente que vive en los cayos saben lo que es el viento, saben lo que es el tiempo, ellos entienden, por eso se ve tanto movimiento", explicó Gastesi.

Autoridades dijeron que en las próximas horas la evacuación "será mandatoria". El alguacil del Condado Monroe advirtió "que no se abrirán refugios en los cayos".

(Escrito por Rosa T. Valdés, con reporte de Ivette Pacheco y Dámaso Rodríguez)

XS
SM
MD
LG